101 Hennessy Street, Port Campbell
Land
Experience Coastal Serenity and Sustainable Living at Arches, Port Campbell
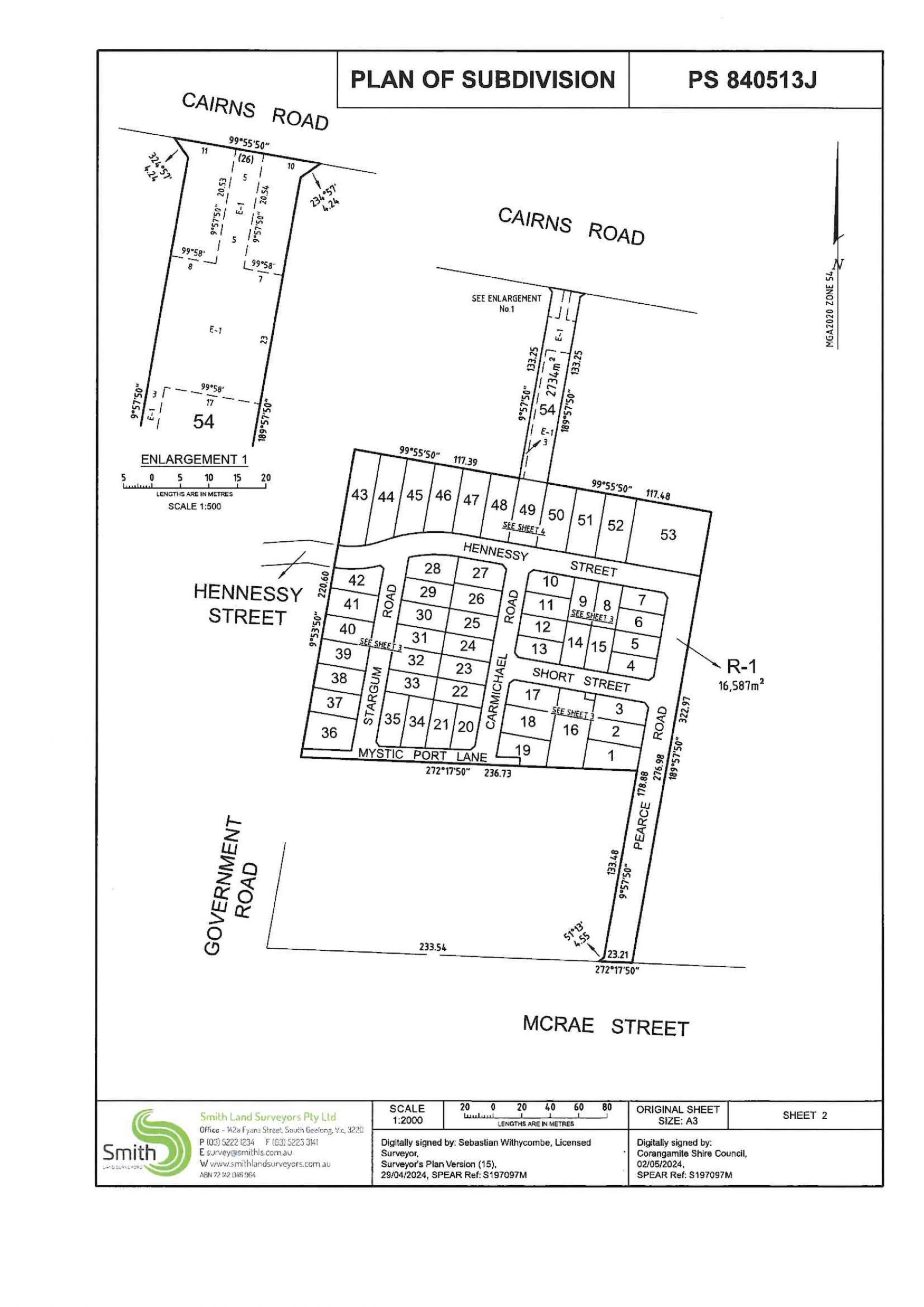
Nestled in the breathtaking landscape of Port Campbell, Lot 43 Arches is your ticket to Victorian coastal living. As one of the last available lots in this flourishing new community, this 1261m2 block of land is a rare gem with a coveted west-facing orientation.
This exceptional property not only provides you with the ideal canvas for your dream home but also embraces the principles of environmental sustainability. Imagine living in harmony with nature while enjoying breathtaking views of Port Campbell countryside. At Arches, we believe in preserving the natural beauty of the coastal character that makes Port Campbell unique.
The development has a focus on sustainability, this property encourages eco-conscious living. Create your eco-friendly oasis with native landscaping that enhances the natural charm of the area, attracts local wildlife, and reduces your carbon footprint. Your new home can be designed to maximize energy efficiency, water conservation, and green living.
Don't miss the chance to secure a prime piece of Port Campbell's future. Arches offers not just a property, but a promise of sustainability, coastal charm, and community. Make your dream come true in one of the most desirable coastal destinations. Act now to secure your place in this new community!
Lot 43 on Plan of Sub Division.
Uninterrupted outlook from this large allotment
FULLY TITLED -START BUILDING IMMEDIATELY
This exceptional property not only provides you with the ideal canvas for your dream home but also embraces the principles of environmental sustainability. Imagine living in harmony with nature while enjoying breathtaking views of Port Campbell countryside. At Arches, we believe in preserving the natural beauty of the coastal character that makes Port Campbell unique.
The development has a focus on sustainability, this property encourages eco-conscious living. Create your eco-friendly oasis with native landscaping that enhances the natural charm of the area, attracts local wildlife, and reduces your carbon footprint. Your new home can be designed to maximize energy efficiency, water conservation, and green living.
Don't miss the chance to secure a prime piece of Port Campbell's future. Arches offers not just a property, but a promise of sustainability, coastal charm, and community. Make your dream come true in one of the most desirable coastal destinations. Act now to secure your place in this new community!
Lot 43 on Plan of Sub Division.
Uninterrupted outlook from this large allotment
FULLY TITLED -START BUILDING IMMEDIATELY
For Sale
$390,000 to $420,000 Reduced to Sell
1,261 sqm
